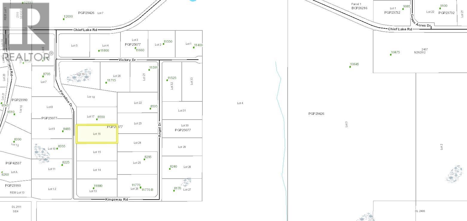
Lot 16 Paradise Road Prince George, British Columbia V2K 5J6

Contact Us

Contact us for more information

Generating Captcha

Acreage

$114,900.00

Paradise Estates, 20 Minutes from downtown Prince George and ready for your building plans. Enjoy the clean fresh air of rural living. The Hart Mall is 10 minutes away for shopping and amenities. Buyer to connect to the well at their own expense and satisfy themselves. Other lots are also available in this subdivision off Chief Lake Road. Lot size is approximate, Buyer to verify if deemed important. (id:45575)

Property Details

MLS® Number R3070743
Property Type Vacant Land

Building

Construction Style Attachment Unknown
Utility Water Drilled Well

Land

Acreage Yes
Size Irregular 4
Size Total 4 Ac
Size Total Text 4 Ac

https://www.realtor.ca/real-estate/29144077/lot-16-paradise-road-prince-george